$50,000
$55,000
9.1%Est.Price: ?
For more information regarding the value of a property, please contact us for a free consultation.
Est. payment /mo
SOLD DATE : 03/23/2023
Key Details
Sold Price $50,000
Property Type Vacant Land
Sub Type Lots/Land
Listing Status Sold
Purchase Type For Sale
MLS Listing ID HD22224103
Sold Date 03/23/23
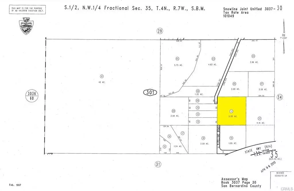
Lot Dimensions 328 x 330
Property Sub-Type Lots/Land
Property Description
2.5 Acres of raw land zone PH/RL close to 138 & Hwy 2.
Location
State CA
County San Bernardino
Direction HWY 2 to Wild horse Canyon Rd (turns into Pipeline) Use neighbors address 3481 Pipeline RD (across the st)
Interior
Fireplace No
Exterior
View Y/N No
Read Less Info
Want to know what your home might be worth? Contact us for a FREE valuation!
Submit

Our team is ready to help you sell your home for the highest possible price ASAP

Listed by Kimberly Jarrard RE/MAX FREEDOM
Bought with CARMEN CLEARY RE/MAX FREEDOM
Bought with CARMEN CLEARY RE/MAX FREEDOM



